Bán Nhà Mặt Tiền Yersin Quận 1, 8,5X17M, 4 Tầng, Hđt 150Tr/Tháng
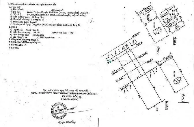
Yersin, Phường Nguyễn Thái Bình, Quận 1, TPHCM
Mức giá
150.0 triệuDiện tích
144 m2
Thông tin mô tả
Khu vực:Bán nhà mặt phố tại Phường Nguyễn Thái Bình
Bán nhà mặt tiền Yersin – Phường Nguyễn Thái Bình, Quận 1 | lõi tài chính – dòng tiền ổn định📍 Tọa lạc khu Nguyễn Thái Bình – trung tâm tài chính Quận 1, tập trung ngân hàng, văn phòng, công ty Vị trí cực kỳ đắc địa, khai thác kinh doanh mạnh.
📐 Thông tin chi tiết
- Diện tích: 8,5m × 17m. Công nhận: 144,1 m²
- Kết cấu: 4 tầng
- Diện tích sàn: ~440 m²
- Pháp lý: Sổ hồng
💵 Dòng tiền hiện hữu - Thu nhập: ~150 triệu/tháng. Hợp đồng thuê ~4 năm
💰 Giá bán: 120 tỷ ~ 833 triệu/m²
Xem thêm: https://proviewland.vn/nha ban/nha quan-1-ban/
Liên Hệ: 0919942121 - 0982472121 Mr Hiền (Viber/Zalo/whatsapp)
Đặc điểm bất động sản
Đ
Hoàng Đạt
Ngày đăng:
21-04-2026Ngày hết hạn:
02-06-2026Loại tin đăng:
Tin thườngMã tin:
6109567
Mọi người xem thêm trong khu vực
Dựa trên tìm kiếm của bạn, có thể bạn quan tâm:
Quý vị đang xem nội dung tin rao "Bán Nhà Mặt Tiền Yersin Quận 1, 8,5X17M, 4 Tầng, Hđt 150Tr/Tháng" - Mã tin 6109567. Mọi thông tin, nội dung liên quan tới tin rao này là do người đăng tin đăng tải và chịu trách nhiệm. 1homez.com luôn cố gắng để các thông tin được hữu ích nhất cho quý vị tuy nhiên 1homez.com không đảm bảo và không chịu trách nhiệm về bất kỳ thông tin, nội dung nào liên quan tới tin rao này. Trường hợp phát hiện nội dung tin đăng không chính xác, Quý vị hãy thông báo và cung cấp thông tin cho Ban quản trị 1homez.com để được hỗ trợ nhanh và kịp thời nhất.



