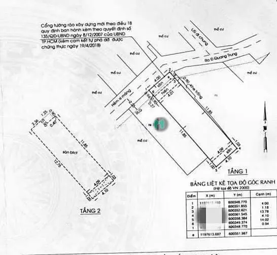
Bán Nhà Rẻ Đẹp (4X16) 379/52/19 Quang Trung P10 Gò Vấp
Quang Trung, Phường 10, Quận Gò Vấp, TPHCM
Mức giá
5.9 tỷDiện tích
60 m2
Thông tin mô tả
Khu vực:Bán nhà riêng tại Phường 10
GIẢM 500TR BÁN GẤP, NGAY NGÃ NĂM❌❌Bán nhà 379/52/19 Quang Trung p10 Gò Vấp
💰 Giá bán: 5,85 tỷ tl
☘️ DT: (4,1 ❌ 16).
Nhà đúc 1 lầu, 3 phòng , 3wc
Sân thượng ngắm máy bay ♻️✈️🔥
ĐẶC BIỆT CÓ SÂN THƯỢNG TRỒNG CÂY
☎️ LH: 0372383838 - 0909540920 Hoan
Đặc điểm bất động sản
H
NGUYỄN THANH HOAN
Ngày đăng:
27-01-2026Ngày hết hạn:
12-03-2026Loại tin đăng:
Tin thườngMã tin:
6095552
Mọi người xem thêm trong khu vực
Dựa trên tìm kiếm của bạn, có thể bạn quan tâm:
Quý vị đang xem nội dung tin rao "Bán Nhà Rẻ Đẹp (4X16) 379/52/19 Quang Trung P10 Gò Vấp" - Mã tin 6095552. Mọi thông tin, nội dung liên quan tới tin rao này là do người đăng tin đăng tải và chịu trách nhiệm. 1homez.com luôn cố gắng để các thông tin được hữu ích nhất cho quý vị tuy nhiên 1homez.com không đảm bảo và không chịu trách nhiệm về bất kỳ thông tin, nội dung nào liên quan tới tin rao này. Trường hợp phát hiện nội dung tin đăng không chính xác, Quý vị hãy thông báo và cung cấp thông tin cho Ban quản trị 1homez.com để được hỗ trợ nhanh và kịp thời nhất.





